土地 泉南市信達市場
所在地
泉南市信達市場
1,060万円
265.59坪
土地180.59坪!
・ファミリーマート泉南砂川店まで徒歩4分
・JR和泉砂川駅まで徒歩19分
月々の
支払例
支払例
万円
年
%
円
※池田泉州/借入金1,060万円、返済期間35年、金利0.870%変動金利保証料型(金利上乗せ))の場合
※審査により金利は変わる可能性があります。
物件概要
- 交通
-
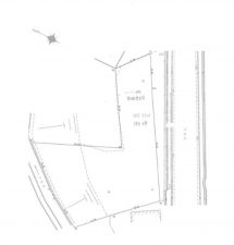
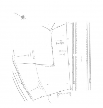
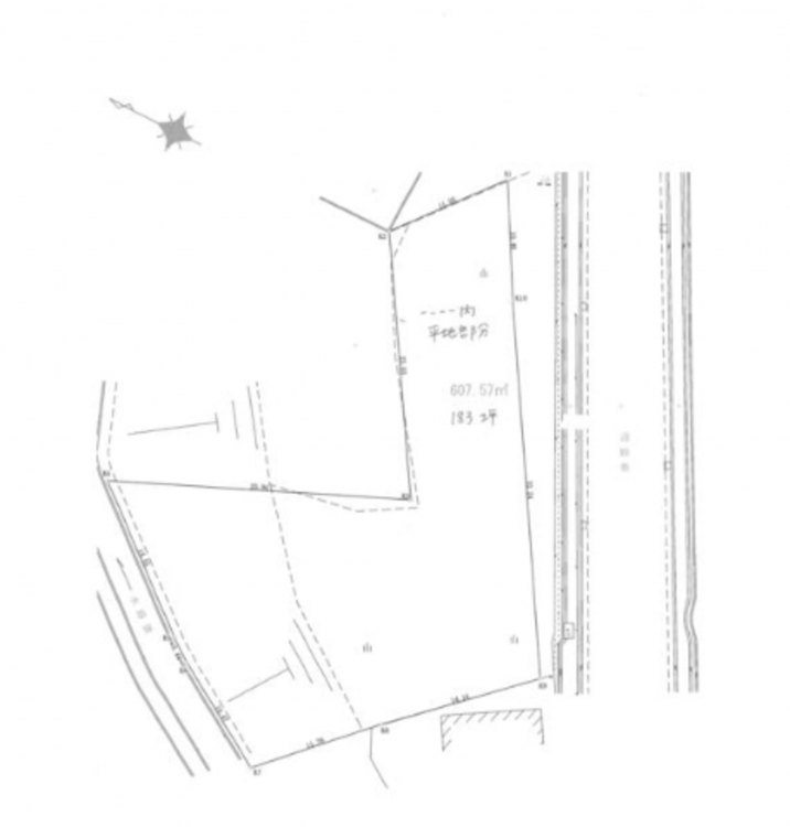
阪和線 新家駅 まで 徒歩11分
- 接道状況
- 南東側 公道 間口約9.5m
- 土地面積
- 公簿 878.00㎡ (265.59坪)
- 建ぺい率
- 60%
- 容積率
- 200%
- 土地権利
- セットバック
- 無し
- 小学校区
- 砂川 ( 900m )
- 中学校区
- 一丘 ( 900m )
- 私道負担
- 建築条件
- ー
- 地目
- 田
- 現況
- 更地
- 引渡時期
- 相談
- 上水道
- 下水道
- ガス
- 都市計画
- 市街化区域
- 用途地域
- 1種中高
- 設備・条件
- 備考
- 取引態様
- 仲介



